BalaBala Laser Clinic in Adelaide

VISIA Skin Analysis

Look beyond the surface of your skin with this in-depth consultation. The VISIA Skin Analysis device takes photos of your skin in detail not normally visible to the naked eye. In understanding your true skin health, your dermal therapist can devise a customised plan for your individual skin goals.

Skin Analysis Benefits
Stop guessing

Stop guessing

Bringing you a personalised treatment plan that’s detailed with your skin’s unique needs.
Track your skin journey

Track your skin journey

Keep in touch with your skin and track your progress throughout and after treatments.
Protect your skin

Protect your skin

Allows us to see and understand the condition of your skin, both at the surface and beneath it. Too often, skin treatments are chosen without objective measurements to guide them.
All skin types

All skin types

skin types 1-6

Book a Free Skin Test & Consultation

Understand your skin real needs

See Your Skin Like Never Before

Our advanced skin analysis technology allows us to assess both surface and subsurface skin conditions with exceptional precision. This in-depth assessment helps reveal underlying skin concerns that may not yet be visible to the naked eye. Through a detailed skin analysis, we are able to identify key concerns such as pigmentation, dehydration, uneven texture, enlarged pores, and early signs of ageing. Understanding these underlying factors allows us to clearly determine the true causes of your skin concerns, not just the visible symptoms.

This also enables us to communicate more effectively with you about your current skin condition, helping you gain a clearer understanding of what your skin truly needs and which areas require attention. Based on your skin analysis results, our specialists will develop a personalised treatment plan tailored specifically to your skin. By combining advanced technologies and medical-grade treatments, we ensure you receive the most suitable and effective treatments for your skin goals.


At Balabala Laser Clinic, every treatment begins with understanding your skin.

  • Please note: Our Skin Test & Consultations are free of charge. However, we require a $30 refundable deposit to secure your booking. This deposit will be fully refunded after your consultation. In the case of a no-show – defined as not attending your appointment or arriving more than 30 minutes late without notice - the deposit will be retained and not refunded. Thank you for your understanding.
Book a Free Skin Test & Consultation

What you can see from Skin analysis

ADVANCED SKIN ANALYSIS

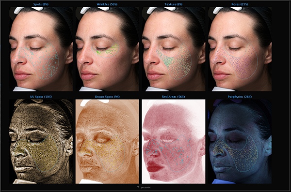
Spots

Typically brown or red marks, distinguishable by the distinct color and contrast from the background skin tone. Spots vary in size and shape, and visible to the naked eye.

Sa spots

Wrinkles

Furrows, folds or creases in the skin that can increase as a result of sun exposure and are associated with a decrease in skin elasticity.

Sa wrinkles

Texture

Raised and depressed areas that indicate variations on the skin surface affecting skin smoothness.

Sa texture

Pores

Circular surface openings of sweat gland ducts. Due to shadowing, enlarged pores appear darker than the surrounding skin tone and are identified by the darker color and circular shape.

Sa pores

UV Spots

The absorption of UV light by epidermal melanin just below the skin surface results in the display and detection of UV spots that can result from sun damage.

Sa uv spots

Brown Spots

Pigmentation and discoloration on and beneath the surface of the skin.

Sa brown spots

Red Areas

Concentrated darker red areas, which may be related to a variety of conditions such as inflammation or spider veins.

Sa red areas

Porphyrins

Bacterial excretions that can become lodged in pores.

Booth rotation